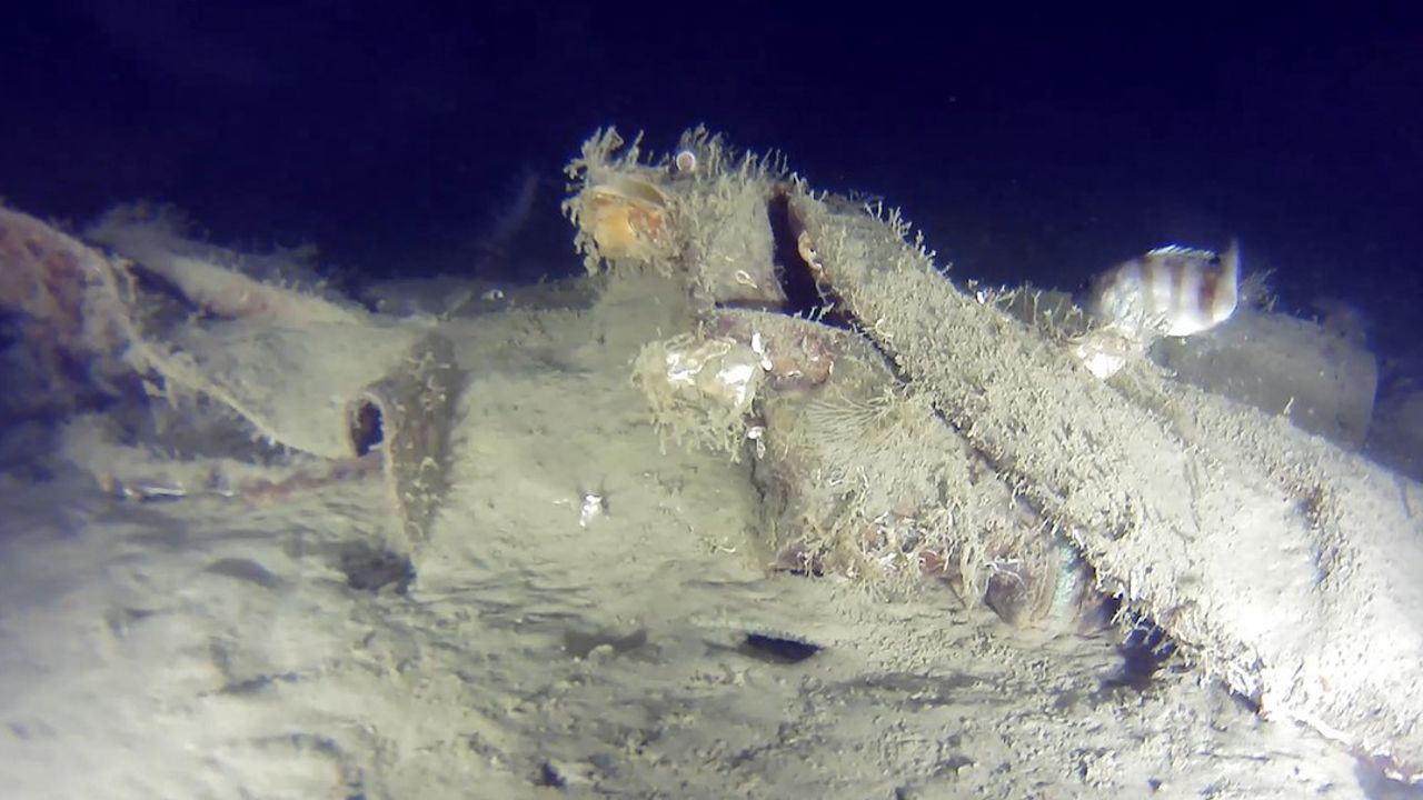
30 Ocak 1975 tarihinde 42 kişiye mezar olan ve yarım asırdır ulaşılamayan Türk Hava Yolları’na (THY) ait ’Bursa’ isimli F-28 uçağının enkazına dair önemli gelişme yaşandı. İzmir-İstanbul seferini yaparken inişe geçtiği sırada Büyükçekmece açıklarında Marmara Denizi’ne düşen uçağın yerini tespit ettiğini öne süren Youtuber Nedim Kuru, su altı dronu ile daha önce yaptığı dalışta uçağa ait olduğu düşünülen parçaları tespit etmişti. Ekibin son dalışında uçağın gövdesine ait olduğu düşünülen parçalar görüntülendi.
Kazada hayatını kaybedenler arasında teknik direktör Fatih Terim’in kayınpederi Kamuran Aksu ve şarkıcı Seyyal Taner’in hostes kardeşi gibi isimler de yer alıyordu. Dönemin teknolojik yetersizlikleri nedeniyle enkaz resmi olarak çıkarılamamış, arama çalışmaları sınırlı kalmıştı.





